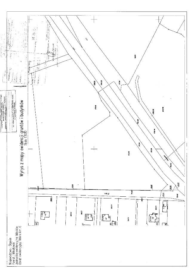
Działka - Mikołów przy trasie DK 81



  • Cena sprzedaży: 0 zł
  • Dodatkowe opłaty: –/mies.
  • Powierzchnia: 10000,00 m2
  • Pomieszczenia:
  • Kondygnacje:

Opis oferty

Sprzedam nieruchomość zlokalizowaną w Mikołowie bezpośrednio przy drodze krajowej DK-81 (skrzyżowanie ulic 22 lipca i ul. Cieszyńskiej w dzielnicy Mikołów-Mokre) z dostępem do zjazdu.
Nr działki: 1575/69.

Cena do negocjacji.
Osobom zainteresowanym nieruchomością udzielimy szczegółowych informacji pod numerem telefonu.

Powyższa oferta nie stanowi oferty handlowej w rozumieniu art. 66&1 Kodeksu Cywilnego oraz innych właściwych przepisów prawnych.

Nieruchomości i urządzenia:
Powierzchnia działki wynosi 10 000m kw.
Działka jest równa, płaska, niezadrzewiona z dostępem do pełnego uzbrojenia: w bliskiej odległości znajduje się linia energetyczna, instalacja wodociągowa, gazociąg.
W planie zagospodarowania przestrzennego zaznaczone jako teren usługowy.

Podobne oferty

globalbroker.biz

SprzedamBiznes.pl jest internetową platformą profesjonalnych ofert biznesowych, działającą na krajowym rynku począwszy od 2011 roku.

Operatorem serwisu jest firma
Skytech IT Sp. z o.o. w Krakowie.

Kontakt z nami

Skytech IT Sp. z o.o.
ul. Przemysłowa 12/hubraum
30-701 Kraków